Community Tip
Celina moves fast. Help your neighbors stay informed by sharing what you see at this site. Upload photos or project updates to help us provide the most accurate timeline possible.








Sprouts Farmers Market: A 23,299 sqft. anchor featuring Sprouts’ newest store format. Currently in the early vertical construction phase, with a targeted grand opening in Q3 2027.
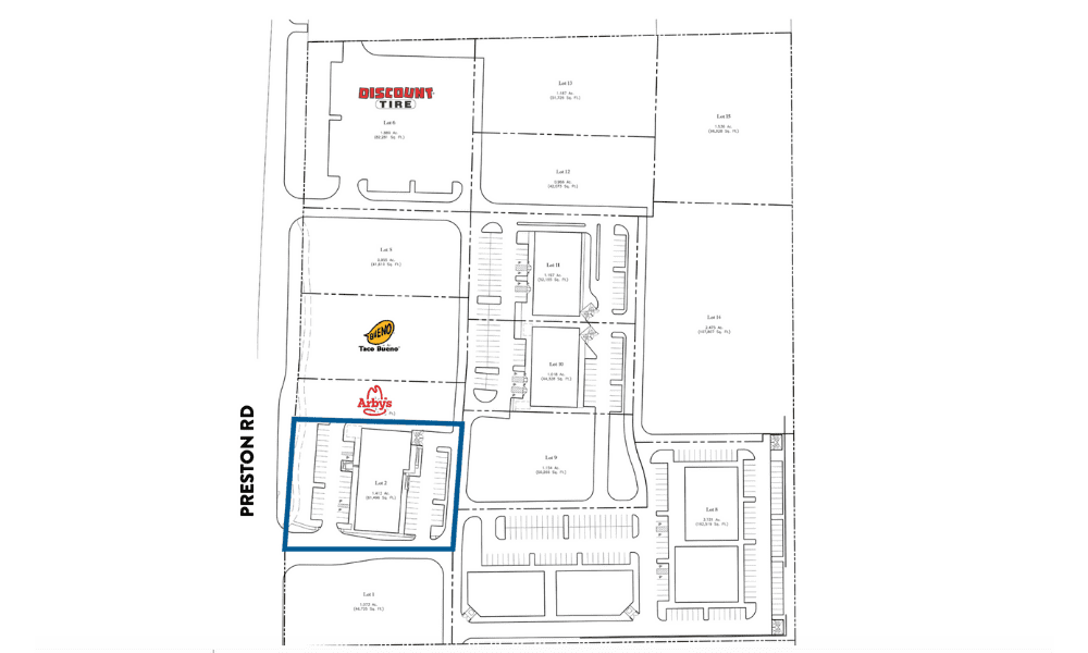
Quick-Service Dining Hub: Features a high-velocity dining pad lineup including Arby’s and Taco Bueno, both of which are currently under construction and slated for Q4 2026 deliveries.
Essential Service Anchors: Anchored by a 7,000+ sqft. Discount Tire (Under Construction) and Today Dental & Orthodontics.
Strategic Connectivity: Situated at the highest-traffic intersection of the southern Preston corridor, this district captures both the local residential “school run” traffic from Prosper High School and the regional commuter flow.